VERMESSUNG
„Verwendung modernster Vermessungsgeräte"
››Digitalnivellier
In der allgemeinen Vermessungsdienstleistung verwenden wir modernste Technologien. So kommt bei uns ein Digitalnivellier als geodätisches Instrument zur Bestimmung von Höhenunterschieden zum Einsatz. Dieses Gerät beruht auf dem Prinzip der Kompensatornivelliere und kann optisch abgelesen werden. Zusätzlich verfügt das Instrument über eine Kamera als Abtastvorrichtung, was eine objektive Ablesung an der Messlatte erlaubt. Die Auflösung des Messsystems liegt bei etwa 0,1 mm. Mit diesen Instrumenten können etwa auch Staumauern, Brücken und Maschinenfundamente überwacht werden.
››Digitalnivellier
Ein Tachymeter dient in der Geodäsie der Auf- & Einmessung und Absteckung von 3D-Punkten.
››GNSS-System
Globales NavigationsSatellitenSystem
››Laserscanner
Ein optisches Messinstrument welches der punktweisen Abtastung von Objekten und deren Oberflächen dient. Die an einem rotierenden Umlenkspiegel wieder eingefangene Reflektion kann anschließend ausgewertet werden.
UAV-/(Drohnen-)Vermessung
- als sinnvolle Ergänzung zum kinematischen Laserscanning (mobile mapping):
- hinter starkem Bewuchs
- hinter Lärmschutzeinrichtungen
- über Tal-Überquerungen
- bei unzugänglichem Gelände, wie Wald, Talauen, …
- Bestandsaufnahmen mit geringeren Genauigkeitsanforderungen (> 3cm)
- Kontroll- und Überwachungsmessungen, wie z. B. Dokumentation von Baufortschritten, Bauwerks(Sicht-)überprüfung, …
- Bild- und Video-Dokumentation
- …
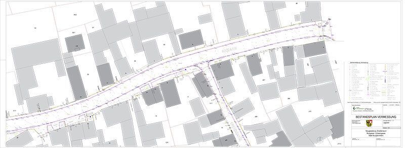
Auswertung mit AutoCad Civil 3D®
Es werden je nach Aufgabenstellung die geeignetsten Vermessungsmethoden ausgewählt. Wir treffen diese Auswahl so, dass ein optimales Ergebnis bei optimierten Kosten entsteht.
Falls Sie es wünschen, können wir vorhandene Messdaten in das Projekt integrieren. Mit unseren Vermessungen können die Ergebnisse auch in das Liegenschaftsinformationssystem des Bundes übernommen werden.
Vertrauen Sie hier auf unsere langjährige Erfahrung und unser spezielles Wissen als Vermessungsingenieure.
Die Daten der Vermessungsgeräte werden mit AutoCad Civil 3D ausgewertet. Diese komplexe Software wertet auf Basis grafischer Methoden aus und erlaubt vielfältige Verwendungsarten. Die Datenabgabe erfolgt in den gängigen Ausgabeformaten. (dxf/dwg, shape, REB usw.)
NEU! DJI M300 –
Die ZUVERLÄSSIGE GEOMETER-DROHNE
DJI M300 + Zenmuse L1 (Scanner)
UAV-/Orthofoto
WIR FREUEN UNS mit der äußerst zuverlässigen DJI-Drohne Matrice 300 können wir sowohl photogrammetrische Flüge als auch Scanner-Flüge anbieten
DJI M300 + P1 (f=35 mm)

Turmbefliegung St. Kilian Bad Windsheim – Grundlagendaten für Restaurator

Dr.-Martin-Luther-Platz Bad Windsheim – Fassadenaufnahme
UAV-/Punktwolken Modelle



























































